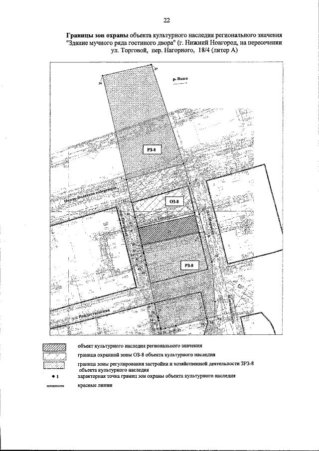
Постановление Правительства Нижегородской области от 25.01.2017 № 22
"Об утверждении границ зон охраны объектов культурного наследия регионального значения, расположенных в г. Нижнем Новгороде, особых режимов использования земель и требований к градостроительным регламентам в утвержденных границах"
"Об утверждении границ зон охраны объектов культурного наследия регионального значения, расположенных в г. Нижнем Новгороде, особых режимов использования земель и требований к градостроительным регламентам в утвержденных границах"
Номер опубликования: 5200201701270001
Дата опубликования:
27.01.2017
