Официальное опубликование правовых актов
ОФИЦИАЛЬНОЕ ОПУБЛИКОВАНИЕ
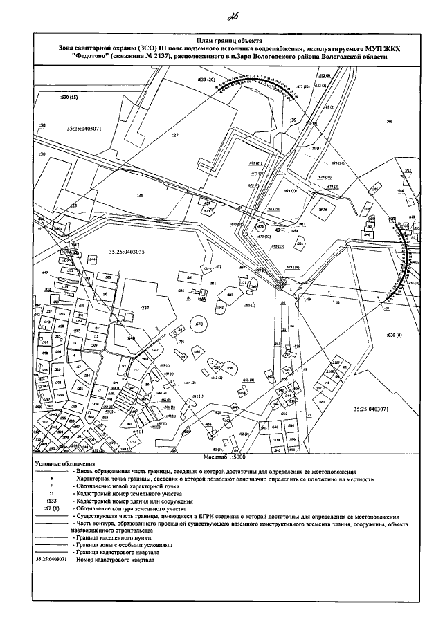
Приказ Департамента природных ресурсов и охраны окружающей среды Вологодской области от 17.12.2020 № 324
"Об установлении зон санитарной охраны источников питьевого и хозяйственно-бытового водоснабжения"
Номер опубликования: 3501202012210016
Дата опубликования: 21.12.2020
Страница №26 из 44:
Увеличить