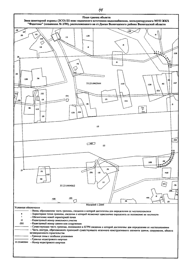
Приказ Департамента природных ресурсов и охраны окружающей среды Вологодской области от 17.12.2020 № 324
"Об установлении зон санитарной охраны источников питьевого и хозяйственно-бытового водоснабжения"
"Об установлении зон санитарной охраны источников питьевого и хозяйственно-бытового водоснабжения"
Номер опубликования: 3501202012210016
Дата опубликования:
21.12.2020
