Официальное опубликование правовых актов
ОФИЦИАЛЬНОЕ ОПУБЛИКОВАНИЕ
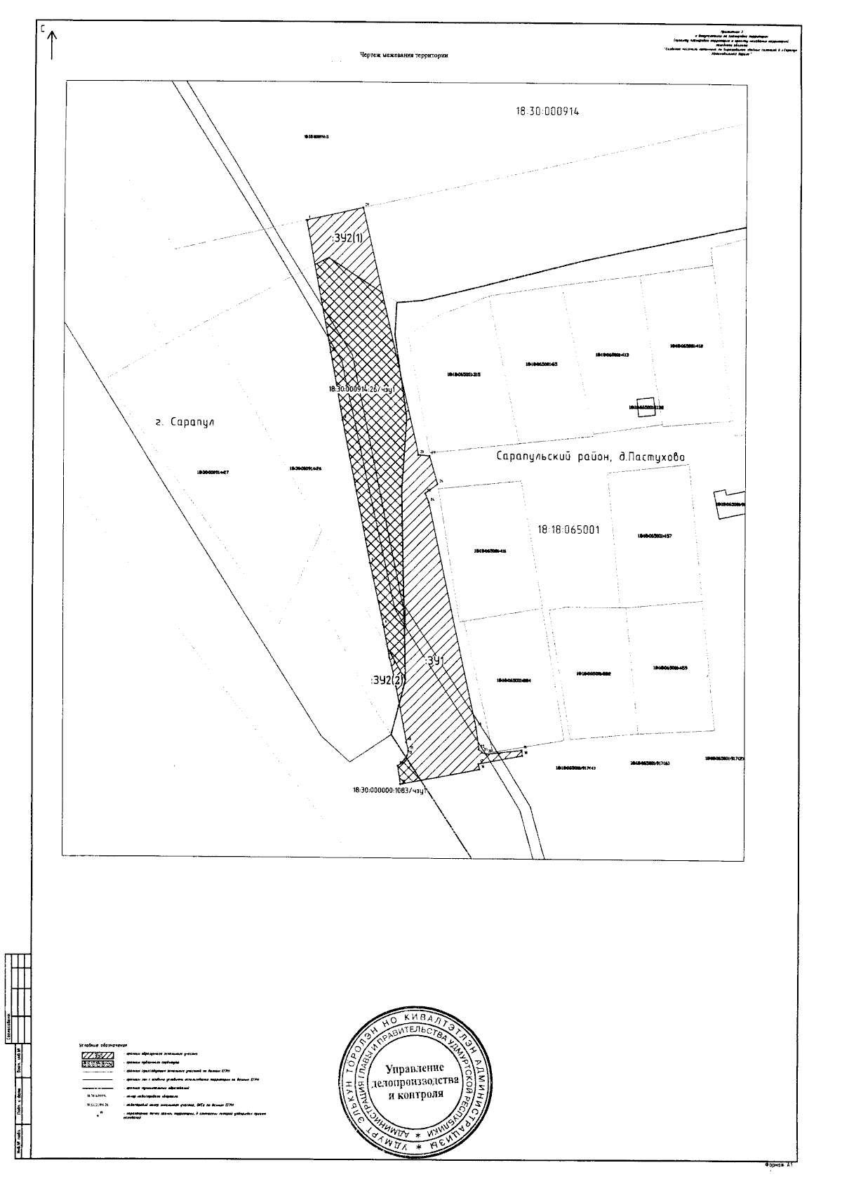
Постановление Правительства Удмуртской Республики от 12.10.2023 № 673
"Об утверждении документации по планировке территории (проекта планировки территории и проекта межевания территории) линейного объекта "Создание частного питомника по выращиванию хвойных саженцев в г. Сарапул. Автомобильная дорога"
Номер опубликования: 1800202310180017
Дата опубликования: 18.10.2023
Страница №13 из 13:
Увеличить