Постановление Правительства Севастополя от 08.02.2024 № 37-ПП
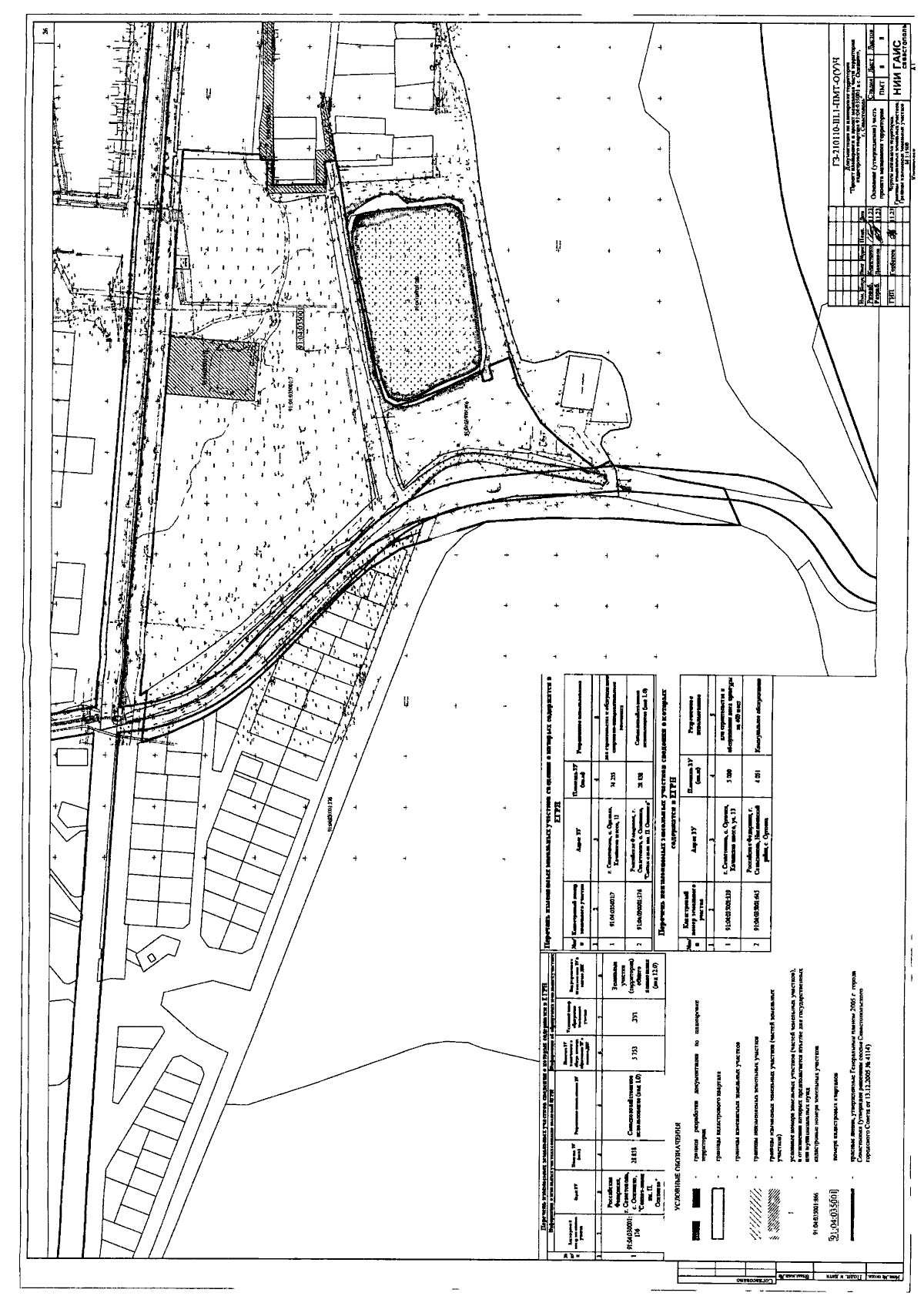
"Об утверждении документации по планировке территории "Проект планировки и проект межевания части территории кадастрового квартала 91:04:035001 в с. Осипенко, г. Севастополь"
"Об утверждении документации по планировке территории "Проект планировки и проект межевания части территории кадастрового квартала 91:04:035001 в с. Осипенко, г. Севастополь"
Номер опубликования: 9200202402150009
Дата опубликования:
15.02.2024
