Официальное опубликование правовых актов
ОФИЦИАЛЬНОЕ ОПУБЛИКОВАНИЕ
Постановление Правительства Севастополя от 07.10.2021 № 482-ПП
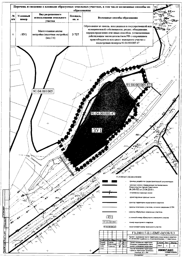
"Об утверждении документации по планировке территории "Проект межевания части территории кадастрового квартала 91:04:001005 в районе ул. Семипалатинская, г. Севастополь"
Номер опубликования: 9200202110140009
Дата опубликования: 14.10.2021
Страница №23 из 24:
Увеличить