Постановление Правительства Севастополя от 26.03.2021 № 114-ПП
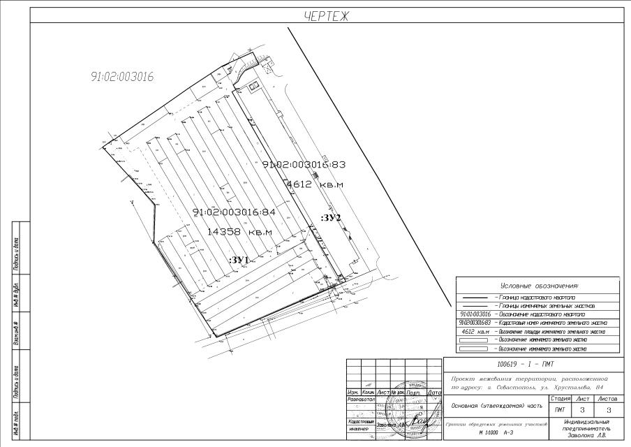
"Об утверждении документации по планировке территории "Проект межевания территории, расположенной по адресу: г. Севастополь, ул. Хрусталева, 84"
"Об утверждении документации по планировке территории "Проект межевания территории, расположенной по адресу: г. Севастополь, ул. Хрусталева, 84"
Номер опубликования: 9200202104020023
Дата опубликования:
02.04.2021
