Приказ Министерства культуры Республики Крым от 05.06.2025 № 322-ОКН
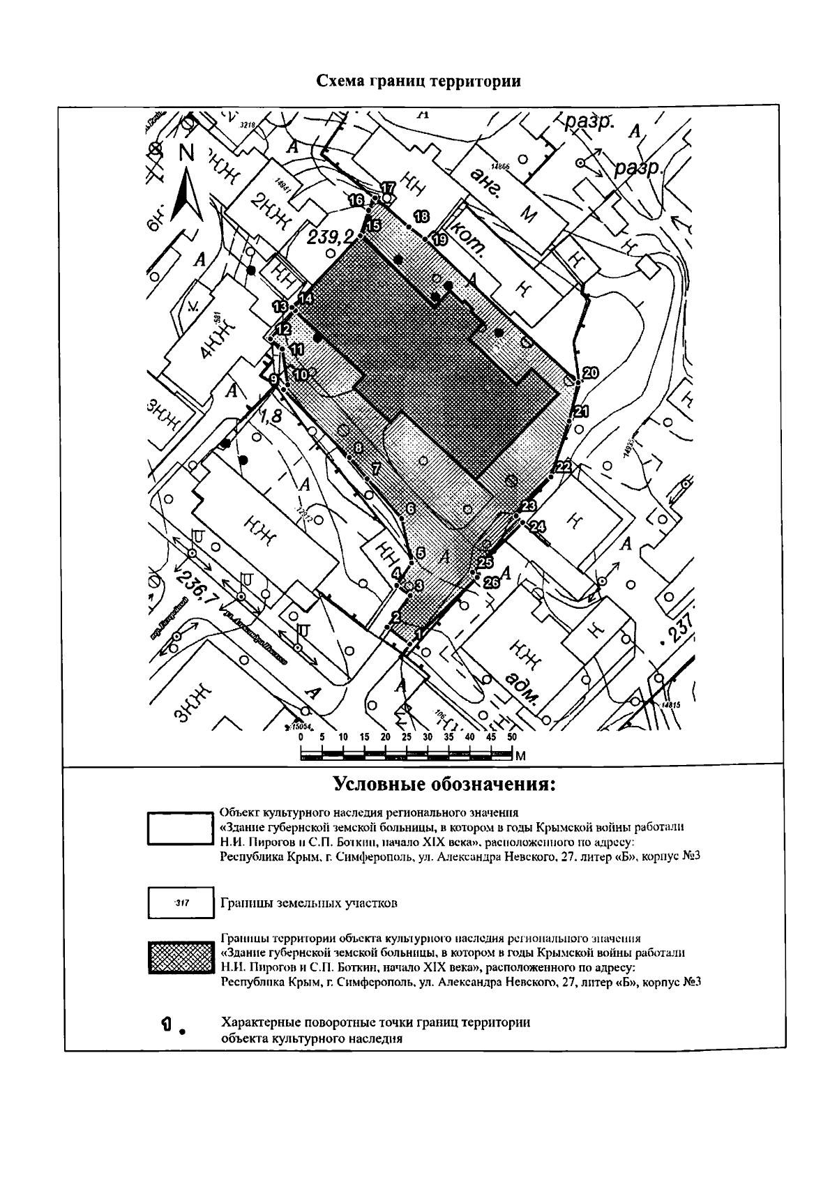
"Об утверждении границ территории, режимов использования земель в границах территории объекта культурного наследия регионального значения "Здание губернской земской больницы, в котором в годы Крымской войны работали Н.И. Пирогов и С.П. Боткин", начало XIX века, расположенного по адресу: Республика Крым, г. Симферополь, ул. Александра Невского, 27, литер "Б", корпус № 3"
(Зарегистрирован 18.06.2025 № 2491)
"Об утверждении границ территории, режимов использования земель в границах территории объекта культурного наследия регионального значения "Здание губернской земской больницы, в котором в годы Крымской войны работали Н.И. Пирогов и С.П. Боткин", начало XIX века, расположенного по адресу: Республика Крым, г. Симферополь, ул. Александра Невского, 27, литер "Б", корпус № 3"
(Зарегистрирован 18.06.2025 № 2491)
Номер опубликования: 9101202506190009
Дата опубликования:
19.06.2025
