Официальное опубликование правовых актов
ОФИЦИАЛЬНОЕ ОПУБЛИКОВАНИЕ
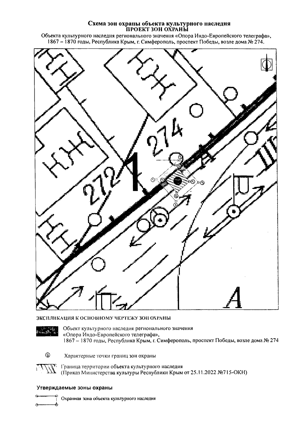
Приказ Министерства культуры Республики Крым от 12.03.2025 № 175-ОКН
"Об утверждении границ зон охраны, режимов использования земель и требований к градостроительным регламентам в границах зон охраны объекта культурного наследия регионального значения "Опора индо-европейского телеграфа", 1867 - 1870 годы, расположенного по адресу: Республика Крым, г. Симферополь, проспект Победы, возле дома № 274"
(Зарегистрирован 13.03.2025 № 2283)
Номер опубликования: 9101202503200005
Дата опубликования: 20.03.2025
Страница №5 из 7:
Увеличить