Приказ Министерства культуры Республики Крым от 28.10.2024 № 638-ОКН
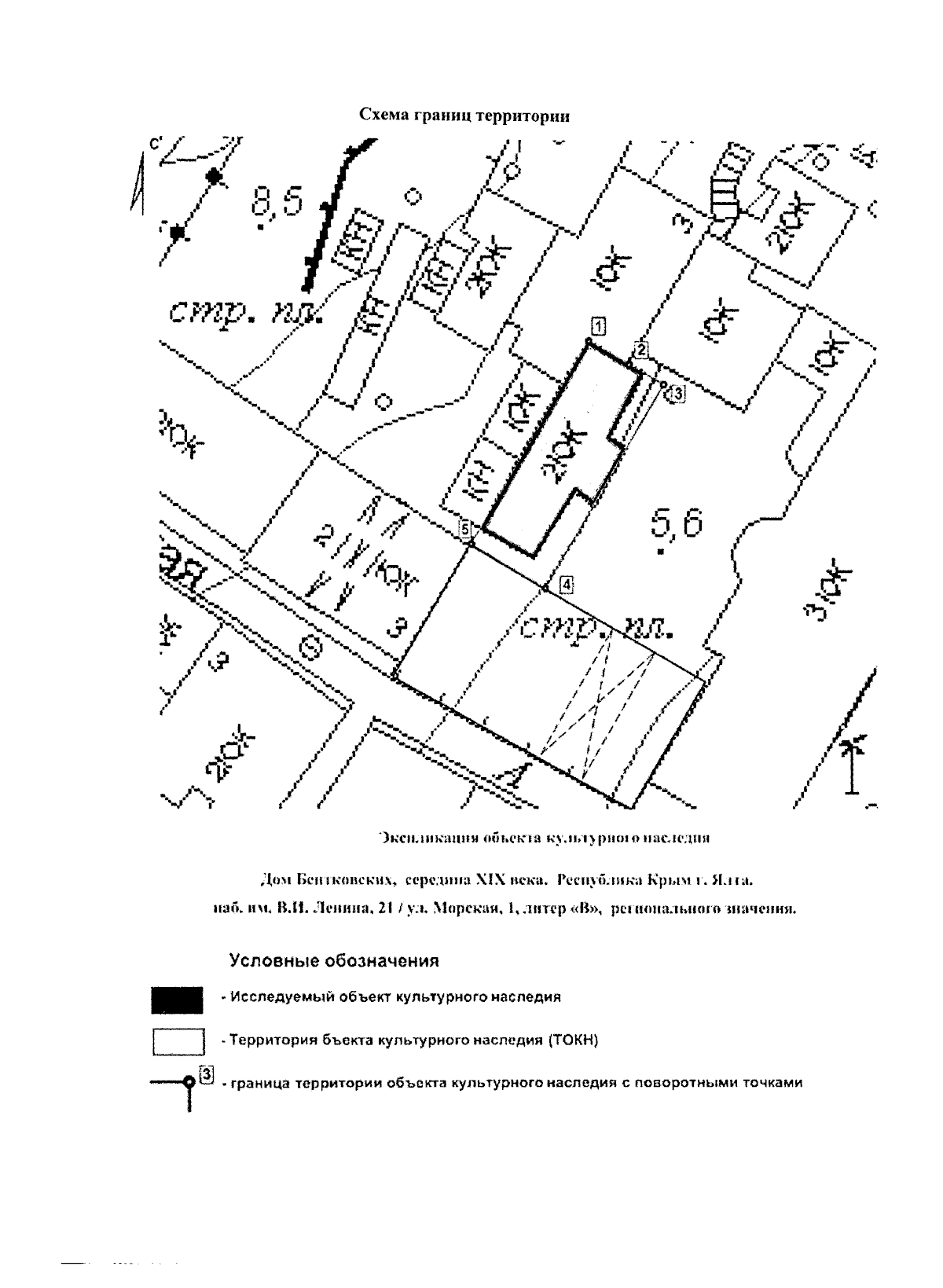
"Об утверждении границ территории, режимов использования земель в границах территории объекта культурного наследия регионального значения "Дом Бентковских", середина XIX века, расположенного по адресу: Республика Крым, г. Ялта, наб. им. В.И. Ленина, 21/ ул. Морская, 1, литер "В"
(Зарегистрирован 31.10.2024 № 1821)
"Об утверждении границ территории, режимов использования земель в границах территории объекта культурного наследия регионального значения "Дом Бентковских", середина XIX века, расположенного по адресу: Республика Крым, г. Ялта, наб. им. В.И. Ленина, 21/ ул. Морская, 1, литер "В"
(Зарегистрирован 31.10.2024 № 1821)
Номер опубликования: 9101202411050005
Дата опубликования:
05.11.2024
