Официальное опубликование правовых актов
ОФИЦИАЛЬНОЕ ОПУБЛИКОВАНИЕ
Приказ Министерства культуры Республики Крым от 17.10.2024 № 583-ОКН
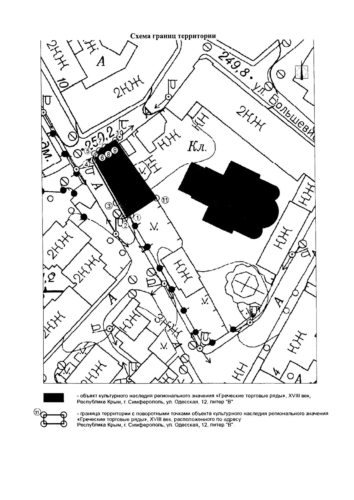
"Об утверждении границ территории, режимов использования земель в границах территории объекта культурного наследия регионального значения "Греческие торговые ряды", XVIII век, расположенного по адресу: Республика Крым, г. Симферополь, ул. Одесская, 12, литер "В"
(Зарегистрирован 21.10.2024 № 1773)
Номер опубликования: 9101202410240003
Дата опубликования: 24.10.2024
Страница №4 из 5:
Увеличить