Официальное опубликование правовых актов
ОФИЦИАЛЬНОЕ ОПУБЛИКОВАНИЕ
Приказ Министерства культуры Республики Крым от 08.08.2024 № 392-ОКН
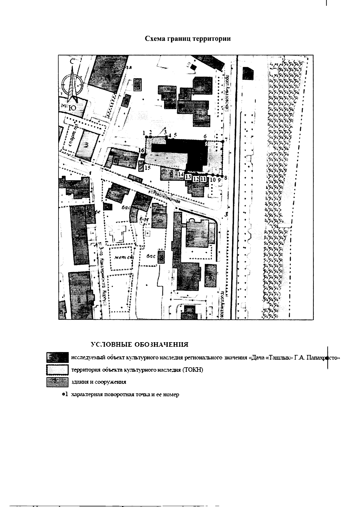
"Об утверждении границ территории, режимов использования земель в границах территории объекта культурного наследия регионального значения "Дача "Ташлык" Г.А. Папахристо", начало XX века, расположенного по адресу: Республика Крым, г. Феодосия, пр-кт Айвазовского, 35, литеры "А", "А1", "а", "а1", "а2", "а3", "а4"
(Зарегистрирован 13.08.2024 № 1594)
Номер опубликования: 9101202408160008
Дата опубликования: 16.08.2024
Страница №4 из 5:
Увеличить