Официальное опубликование правовых актов
ОФИЦИАЛЬНОЕ ОПУБЛИКОВАНИЕ
Приказ Министерства культуры Республики Крым от 02.12.2021 № 557-окн
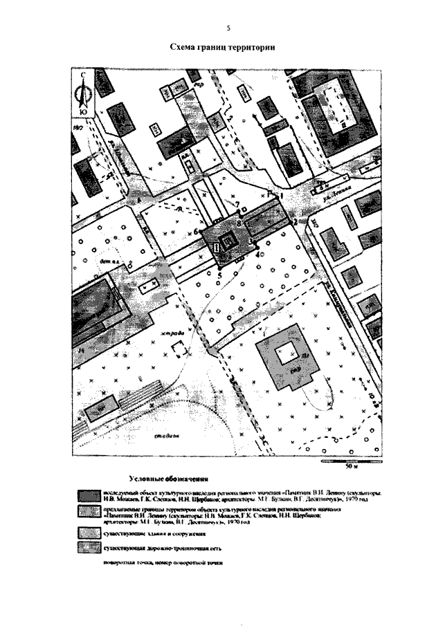
"Об утверждении границ территории, режимов использования земель в границах территории объекта культурного наследия регионального значения "Памятник В.И. Ленину (скульпторы: Н.В. Можаев, Г.К. Слепцов, Н.Н. Щербаков; архитекторы: М.Г. Булкин, В.Г. Десятничук), 1970 год", расположенного по адресу: Республика Крым, Нижнегорский район, сельское поселение Нижнегорское, п. Нижнегорский"
Номер опубликования: 9101202112030009
Дата опубликования: 03.12.2021
Страница №5 из 6:
Увеличить