Приказ Министерства культуры Республики Крым от 08.07.2021 № 264-окн
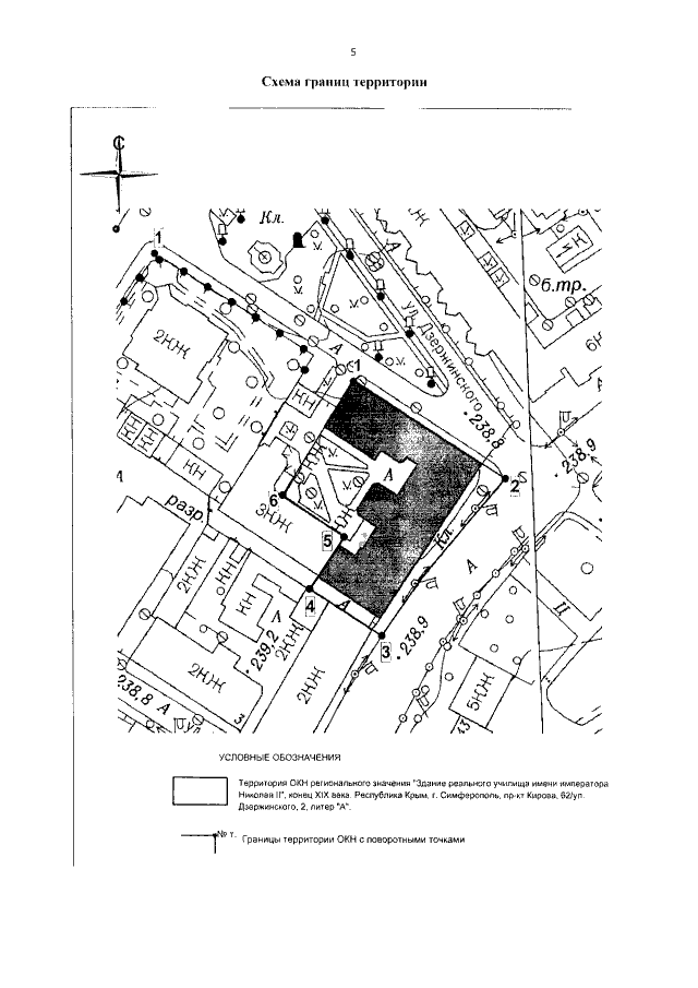
"Об утверждении границ территории, режимов использования земель в границах территории объекта культурного наследия регионального значения "Здание реального училища имени императора Николая II, конец XIX века", расположенного по адресу: Республика Крым, г. Симферополь, пр-кт Кирова, 62/ул. Дзержинского, 2, литер "А"
"Об утверждении границ территории, режимов использования земель в границах территории объекта культурного наследия регионального значения "Здание реального училища имени императора Николая II, конец XIX века", расположенного по адресу: Республика Крым, г. Симферополь, пр-кт Кирова, 62/ул. Дзержинского, 2, литер "А"
Номер опубликования: 9101202107120010
Дата опубликования:
12.07.2021
