Официальное опубликование правовых актов
ОФИЦИАЛЬНОЕ ОПУБЛИКОВАНИЕ
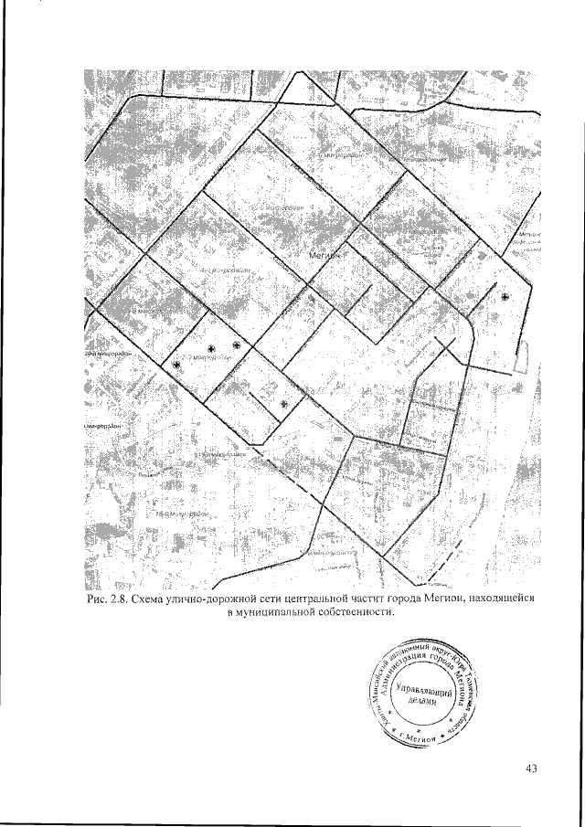
Постановление Администрации муниципального образования Ханты-Мансийского автономного округа - Югры городской округ город Мегион от 14.12.2017 № 2541
"Об утверждении программы комплексного развития транспортной инфраструктуры городского округа город Мегион на 2017-2035 годы" (тестовое опубликование)
Номер опубликования: 8602201712290001
Дата опубликования: 29.12.2017
Страница №44 из 147:
Увеличить