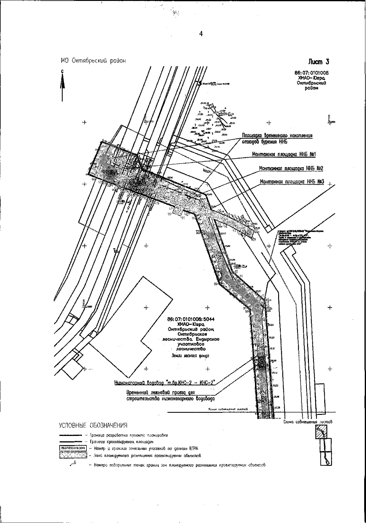
Приказ Департамента пространственного развития и архитектуры Ханты-Мансийского автономного округа - Югры от 15.01.2024 № 2-нп
"Об утверждении документации по планировке территории"
(Зарегистрирован 23.01.2024 № 7348 )
"Об утверждении документации по планировке территории"
(Зарегистрирован 23.01.2024 № 7348 )
Номер опубликования: 8601202401250002
Дата опубликования:
25.01.2024
