Официальное опубликование правовых актов
ОФИЦИАЛЬНОЕ ОПУБЛИКОВАНИЕ
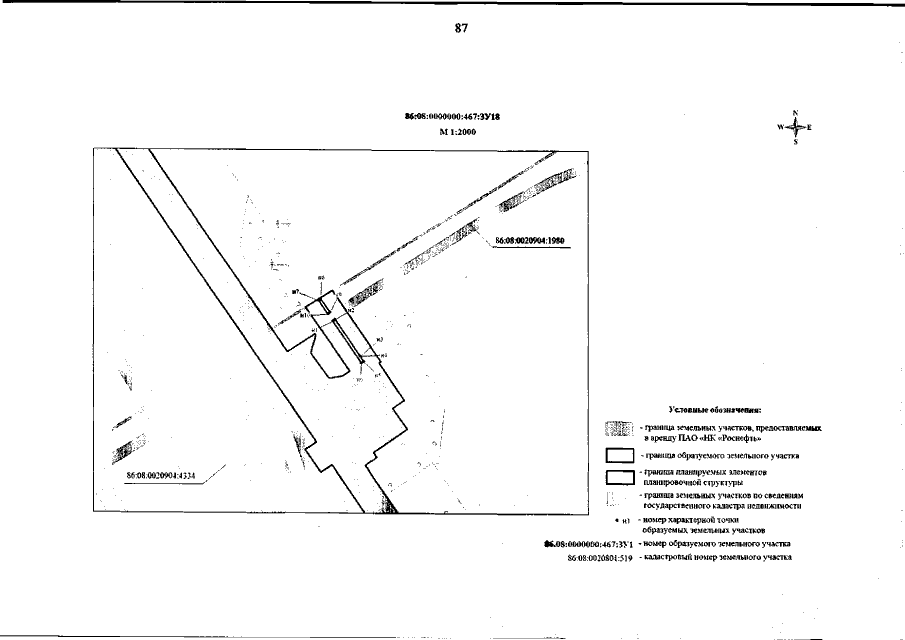
Приказ Департамента пространственного развития и архитектуры Ханты-Мансийского автономного округа - Югры от 01.03.2023 № 10-нп
"Об утверждении документации по планировке территории"
(Зарегистрирован 09.03.2023 № 6658)
Номер опубликования: 8601202303140002
Дата опубликования: 14.03.2023
Страница №87 из 188:
Увеличить