Официальное опубликование правовых актов
ОФИЦИАЛЬНОЕ ОПУБЛИКОВАНИЕ
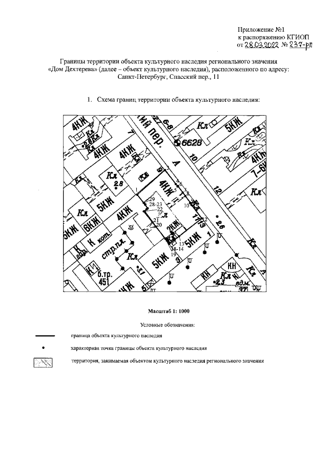
Распоряжение Комитета по государственному контролю, использованию и охране памятников истории и культуры Санкт-Петербурга от 28.03.2022 № 237-рп
"Об утверждении границ и режима использования территории объекта культурного наследия регионального значения "Дом Дехтерева"
Номер опубликования: 7801202204040041
Дата опубликования: 04.04.2022
Страница №3 из 6:
Увеличить