Официальное опубликование правовых актов
ОФИЦИАЛЬНОЕ ОПУБЛИКОВАНИЕ
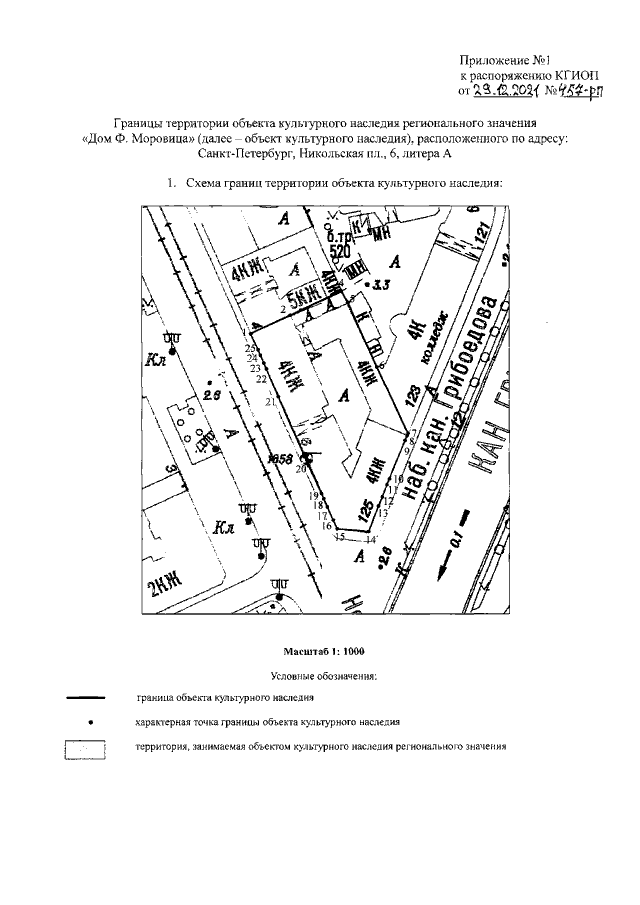
Распоряжение Комитета по государственному контролю, использованию и охране памятников истории и культуры Санкт-Петербурга от 29.12.2021 № 457-рп
"Об утверждении границ и режима использования территории объекта культурного наследия регионального значения "Дом Ф. Моровица"
Номер опубликования: 7801202201020028
Дата опубликования: 02.01.2022
Страница №3 из 6:
Увеличить