Официальное опубликование правовых актов
ОФИЦИАЛЬНОЕ ОПУБЛИКОВАНИЕ
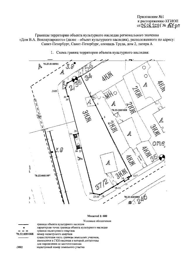
Распоряжение Комитета по государственному контролю, использованию и охране памятников истории и культуры Санкт-Петербурга от 25.08.2021 № 161-рп
"Об утверждении границ и режима использования территории объекта культурного наследия регионального значения "Дом В.А. Вонлярлярского"
Номер опубликования: 7801202108300009
Дата опубликования: 30.08.2021
Страница №3 из 7:
Увеличить