Постановление Правительства Тюменской области от 06.04.2015 № 129-п
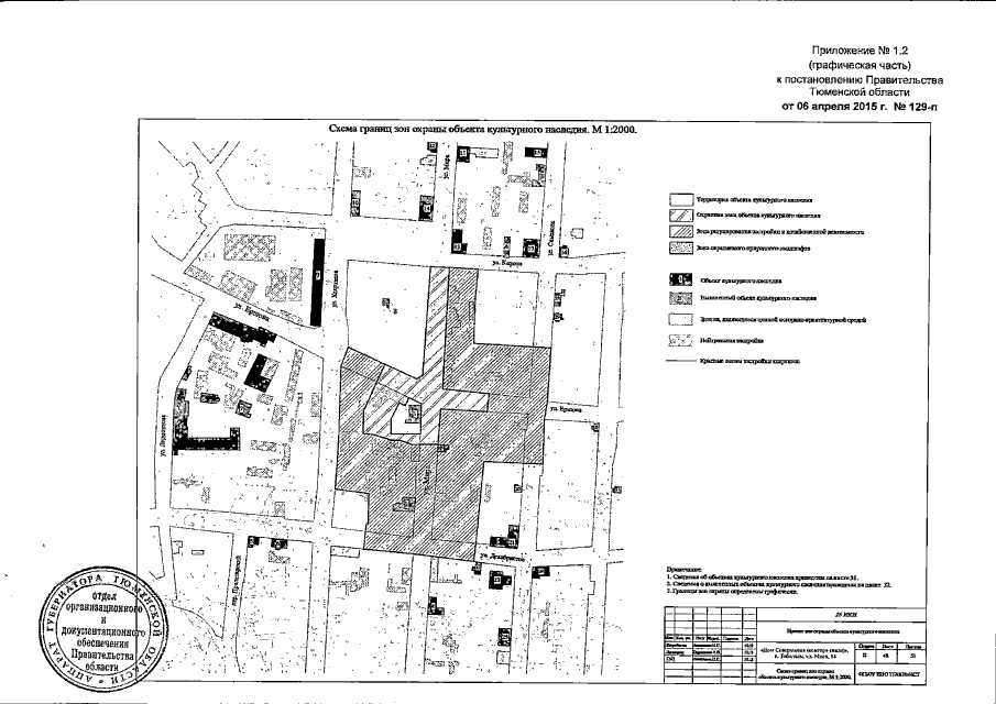
"Об утверждении границ зон охраны объекта культурного наследия регионального значения, режимов использования земель и градостроительных регламентов в границах данных зон"
"Об утверждении границ зон охраны объекта культурного наследия регионального значения, режимов использования земель и градостроительных регламентов в границах данных зон"
Номер опубликования: 7200201504090006
Дата опубликования:
09.04.2015
