Официальное опубликование правовых актов
ОФИЦИАЛЬНОЕ ОПУБЛИКОВАНИЕ
Распоряжение Правительства Тверской области от 01.12.2023 № 1509-рп
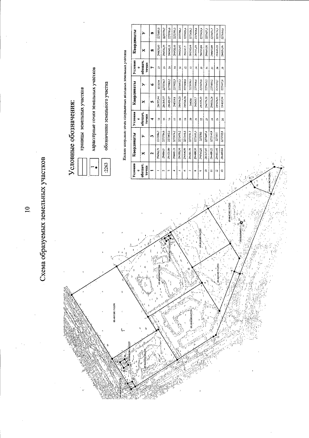
"О внесении изменений в документацию по планировке территории в границах земельных участков с кадастровыми номерами 69:40:0100119:19 (почтовый адрес ориентира: Тверская область, г. Тверь, ул. Седова, д. 57) и 69:40:0100119:2003 (почтовый адрес ориентира: Тверская область, г. Тверь, ул. Красина) в Заволжском районе города Твери"
Номер опубликования: 6900202312040033
Дата опубликования: 04.12.2023
Страница №10 из 15:
Увеличить