Официальное опубликование правовых актов
ОФИЦИАЛЬНОЕ ОПУБЛИКОВАНИЕ
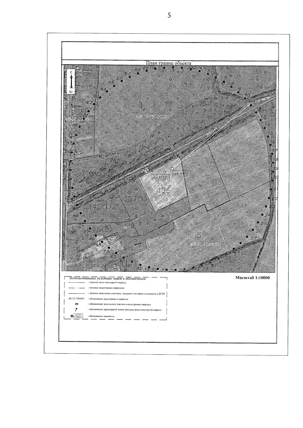
Приказ Министерства экологии и природных ресурсов Тамбовской области от 14.11.2024 № 435
"Об установлении границ и режима зон санитарной охраны действующего водозабора общества с ограниченной ответственностью "Тамбовская индейка" участок "Северопервомайский-1"
(Зарегистрирован 14.11.2024 № 435)
Номер опубликования: 6801202411150001
Дата опубликования: 15.11.2024
Страница №24 из 27:
Увеличить