Официальное опубликование правовых актов
ОФИЦИАЛЬНОЕ ОПУБЛИКОВАНИЕ
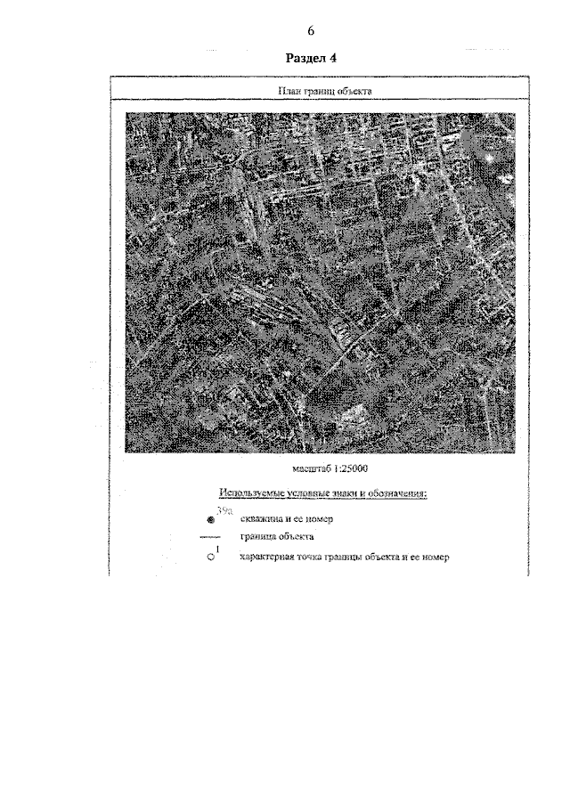
Приказ Министерства экологии и природных ресурсов Тамбовской области от 01.08.2023 № 357
"Об установлении границ и режима зон санитарной охраны водозаборных скважин ООО "РКС-Тамбов"
(Зарегистрирован 01.08.2023 № 357)
Номер опубликования: 6801202308030002
Дата опубликования: 03.08.2023
Страница №95 из 102:
Увеличить