Официальное опубликование правовых актов
ОФИЦИАЛЬНОЕ ОПУБЛИКОВАНИЕ
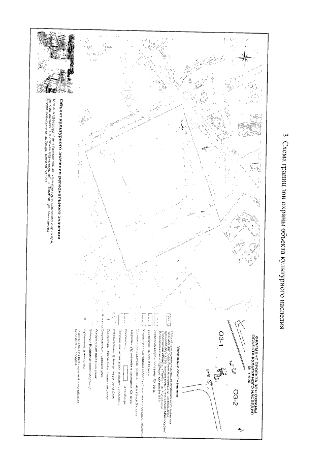
Приказ Управления по государственной охране объектов культурного наследия Тамбовской области от 17.11.2021 № 181
"Об установлении зон охраны объекта культурного наследия регионального значения "Могила Шатрова Илия Алексеевича, композитора, военного дирижера, автора вальса "На сопках Маньчжурии" (Тамбовская область, г. Тамбов‚ ул. Чичканова‚ Воздвиженское кладбище, могила № 911) и утверждении требований к градостроительным регламентам в границах территорий данных зон"
Номер опубликования: 6801202111220002
Дата опубликования: 22.11.2021
Страница №5 из 7:
Увеличить