Официальное опубликование правовых актов
ОФИЦИАЛЬНОЕ ОПУБЛИКОВАНИЕ
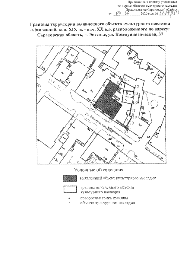
Приказ Управления по охране объектов культурного наследия Саратовской области от 04.06.2020 № 01-04/209
"Об утверждении границ территории выявленного объекта культурного наследия, расположенного по адресу: Саратовская область, г. Энгельс, ул. Коммунистическая, 37"
Номер опубликования: 6401202006110028
Дата опубликования: 11.06.2020
Страница №3 из 5:
Увеличить