Приказ Управления по охране объектов культурного наследия Саратовской области от 17.03.2020 № 01-04/117
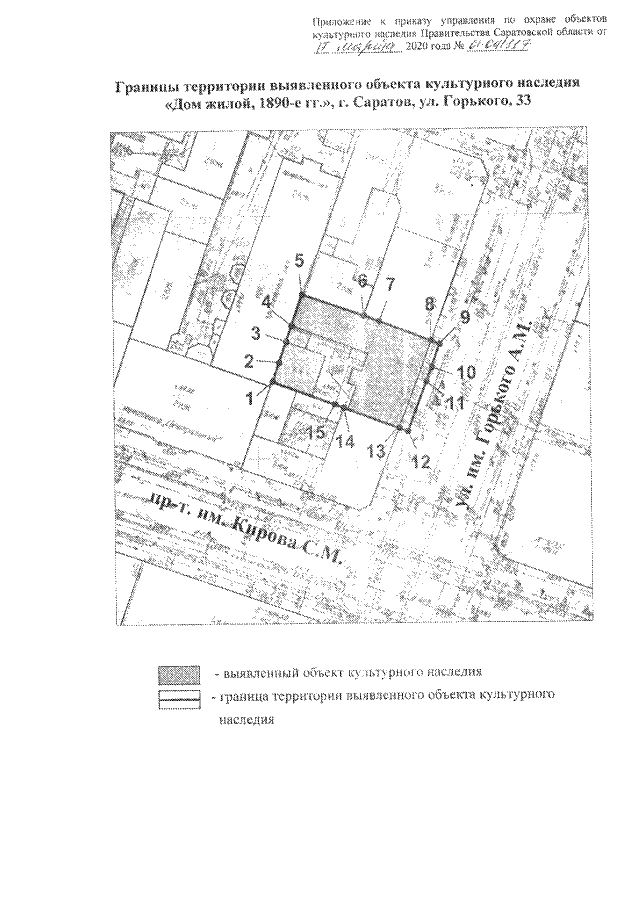
"Об утверждении границ территории выявленного объекта культурного наследия, расположенного по адресу: г. Саратов, ул. Горького, 33"
"Об утверждении границ территории выявленного объекта культурного наследия, расположенного по адресу: г. Саратов, ул. Горького, 33"
Номер опубликования: 6401202003200004
Дата опубликования:
20.03.2020
