Официальное опубликование правовых актов
ОФИЦИАЛЬНОЕ ОПУБЛИКОВАНИЕ
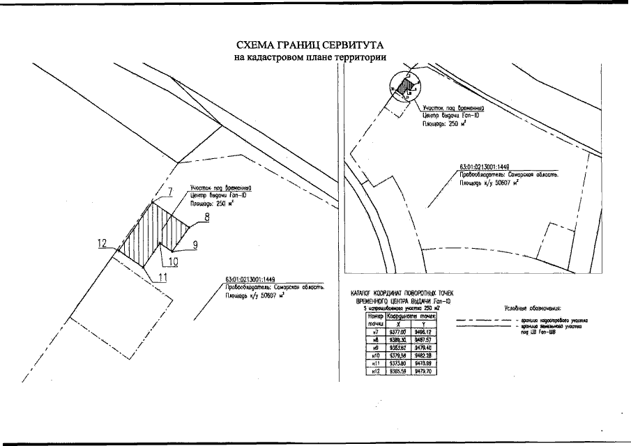
Распоряжение Правительства Самарской области от 27.03.2018 № 194-р
"Об установлении сервитута для размещения временных объектов инфраструктуры"
Номер опубликования: 6300201803290003
Дата опубликования: 29.03.2018
Страница №4 из 6:
Увеличить