Официальное опубликование правовых актов
ОФИЦИАЛЬНОЕ ОПУБЛИКОВАНИЕ
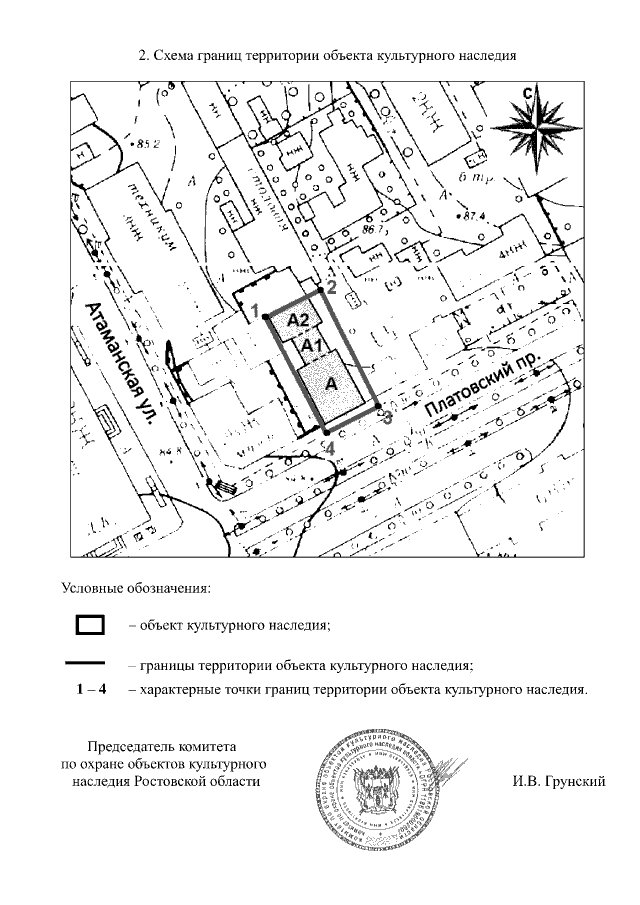
Постановление Комитета по охране объектов культурного наследия Ростовской области от 14.11.2019 № 20/01-01/1184
"Об утверждении границ территории объекта культурного наследия регионального значения "Здание военной комендатуры. Классический стиль." (уточненное наименование: "Здание гауптвахты")"
Номер опубликования: 6101201911190019
Дата опубликования: 19.11.2019
Страница №3 из 3:
Увеличить