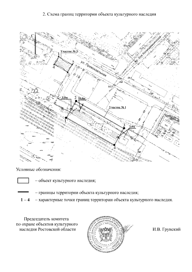
Постановление Комитета по охране объектов культурного наследия Ростовской области от 21.12.2018 № 20/01-01/428 "Об утверждении границ территории объекта культурного наследия регионального значения "Ансамбль зданий железнодорожного вокзала"
Номер опубликования: 6101201812240105
Дата опубликования:
24.12.2018
