Официальное опубликование правовых актов
ОФИЦИАЛЬНОЕ ОПУБЛИКОВАНИЕ
Приказ Инспекции государственной охраны объектов культурного наследия Оренбургской области от 08.11.2023 № 01-08-660
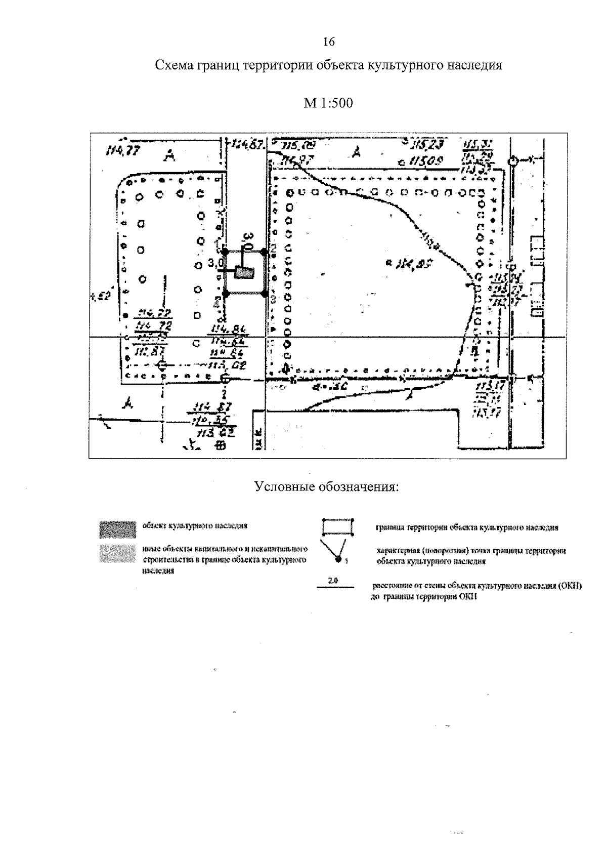
"О включении выявленного объекта культурного наследия в единый государственный реестр объектов культурного наследия (памятников истории и культуры) народов Российской Федерации в качестве объекта культурного наследия местного (муниципального) значения (вид – памятник) "Памятник Ю.А. Гагарину", 1972 год, (Оренбургская область, г. Оренбург, проезд Майский, д. 8), об утверждении предмета охраны, границ и режима использования территории объекта культурного наследия"
(Зарегистрирован 08.11.2023 № 0425/2023/22)
Номер опубликования: 5601202311090016
Дата опубликования: 09.11.2023
Страница №16 из 17:
Увеличить