Официальное опубликование правовых актов
ОФИЦИАЛЬНОЕ ОПУБЛИКОВАНИЕ
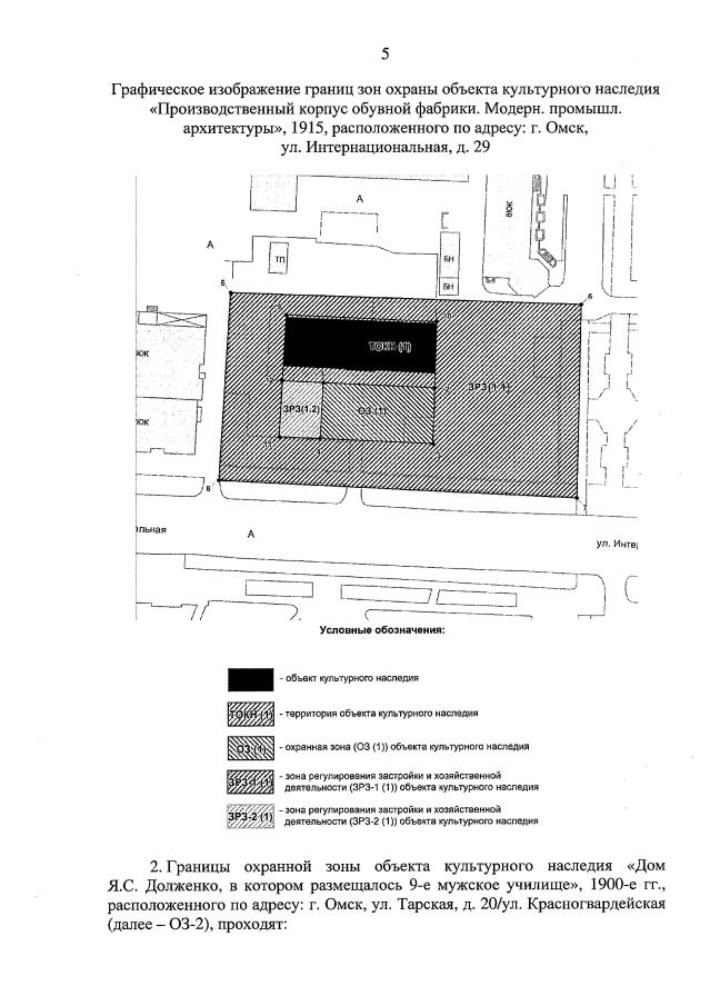
Приказ Министерства культуры Омской области от 21.04.2020 № 58
"Об установлении зон охраны объектов культурного наследия (памятников истории и культуры) народов Российской Федерации регионального значения и утверждении требований к градостроительным регламентам в границах данных зон"
Номер опубликования: 5501202004220001
Дата опубликования: 22.04.2020
Страница №6 из 30:
Увеличить