Официальное опубликование правовых актов
ОФИЦИАЛЬНОЕ ОПУБЛИКОВАНИЕ
Приказ Министерства градостроительной деятельности и развития агломераций Нижегородской области от 02.05.2024 № 07-02-03/37
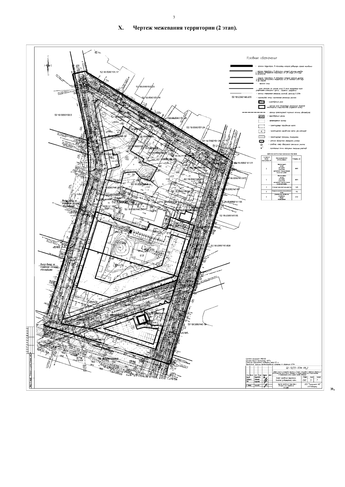
"Об утверждении изменений в документацию по планировке территории (проект планировки и межевания территории) в границах улиц Малая Ямская, Шевченко, 3-я Ямская, дублера улицы Красносельская в Нижегородском районе города Нижнего Новгорода, утвержденную приказом министерства градостроительной деятельности и развития агломераций Нижегородской области от 18 января 2024 г. № 07-02-03/2"
(Зарегистрирован 23.05.2024 № 25577-330-007-02-03/37)
Номер опубликования: 5201202405240006
Дата опубликования: 24.05.2024
Страница №5 из 5:
Увеличить