Приказ Министерства градостроительной деятельности и развития агломераций Нижегородской области от 19.01.2024 № 07-02-03/3
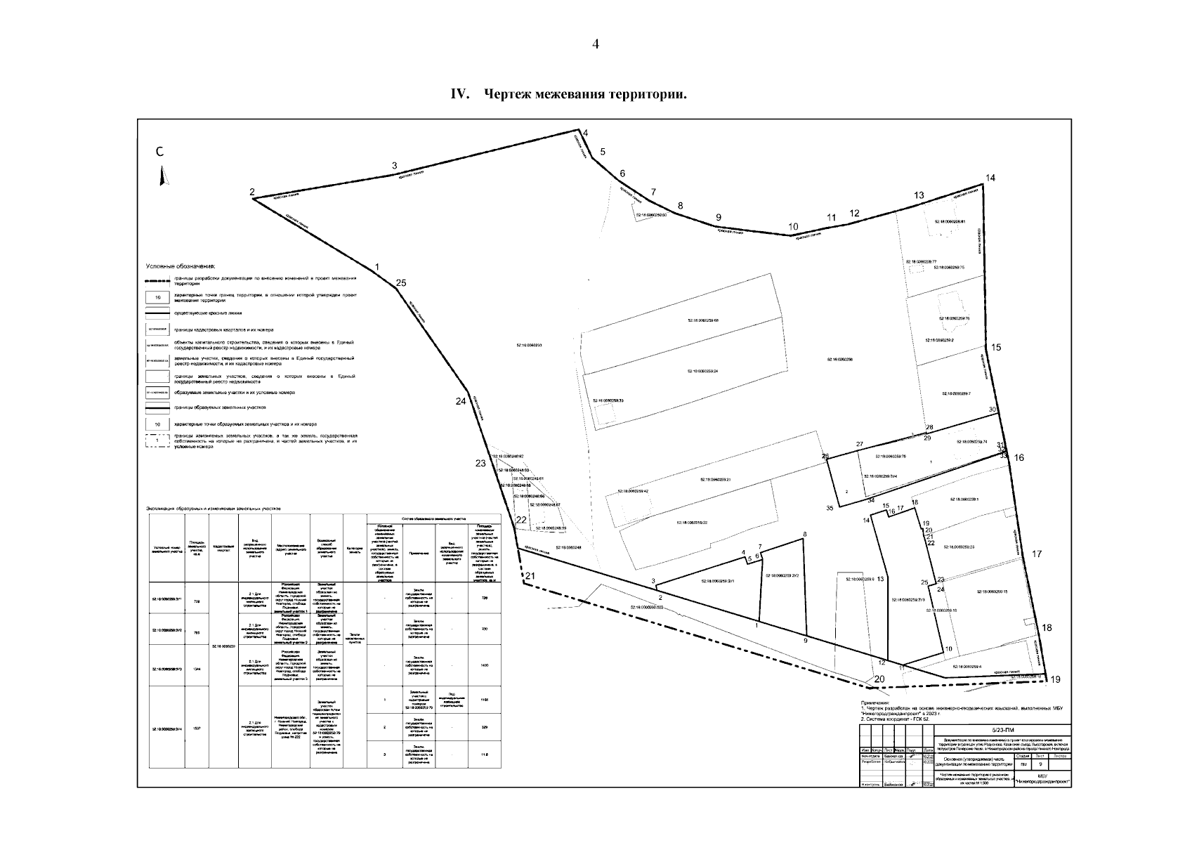
"Об утверждении документации по внесению изменений в проект планировки и межевания территории в границах улиц Родионова, Казанский съезд, Лысогорская, включая полуостров Печёрские пески, в Нижегородском районе города Нижнего Новгорода"
(Зарегистрирован 08.02.2024 № 25074-330-007-02-03/3)
"Об утверждении документации по внесению изменений в проект планировки и межевания территории в границах улиц Родионова, Казанский съезд, Лысогорская, включая полуостров Печёрские пески, в Нижегородском районе города Нижнего Новгорода"
(Зарегистрирован 08.02.2024 № 25074-330-007-02-03/3)
Номер опубликования: 5201202402090002
Дата опубликования:
09.02.2024
