Официальное опубликование правовых актов
ОФИЦИАЛЬНОЕ ОПУБЛИКОВАНИЕ
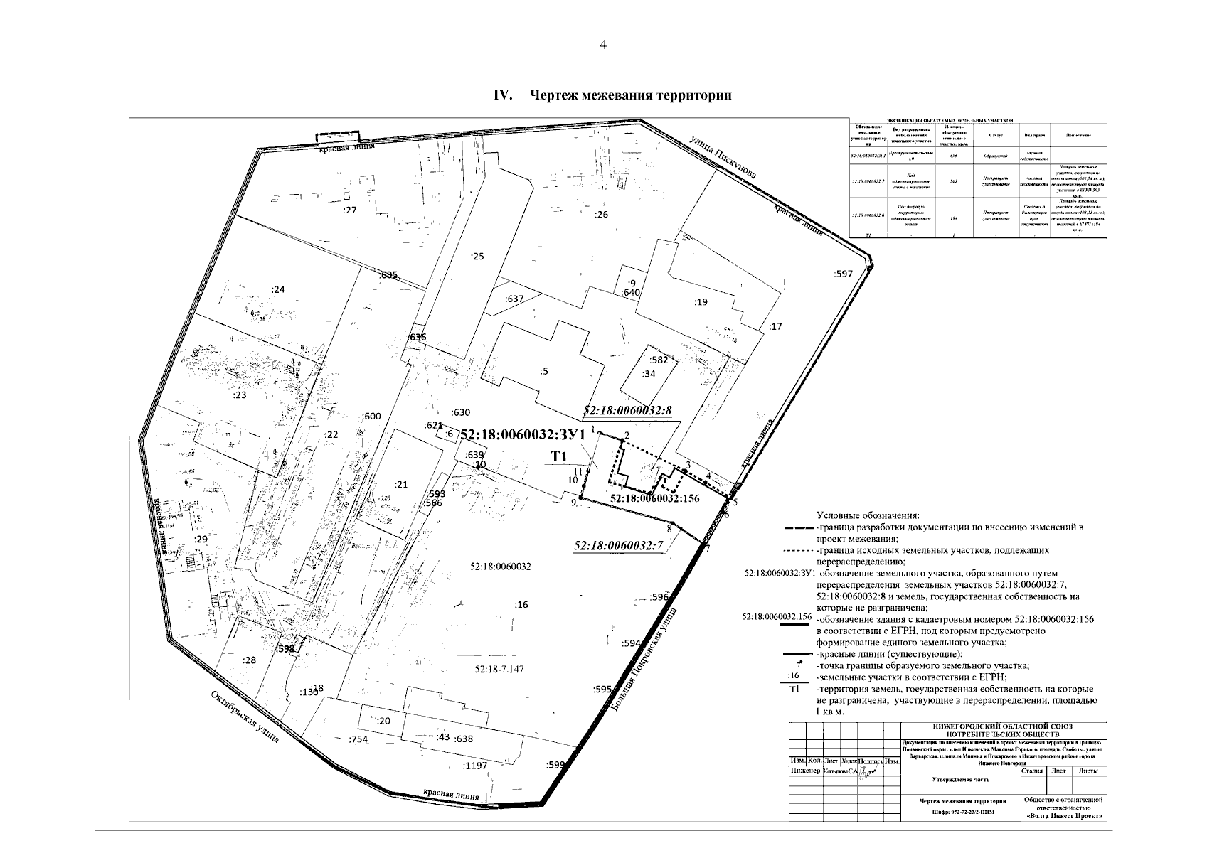
Приказ Министерства градостроительной деятельности и развития агломераций Нижегородской области от 27.12.2023 № 07-02-03/132
"Об утверждении документации по внесению изменений в проект межевания территории в границах Почаинский овраг, улиц Ильинская, Максима Горького, площади Свободы, улицы Варварская, площади Минина и Пожарского в Нижегородском районе города Нижнего Новгорода"
(Зарегистрирован 31.01.2024 № 25025-330-007-02-03/132)
Номер опубликования: 5201202402020005
Дата опубликования: 02.02.2024
Страница №6 из 6:
Увеличить