Приказ Министерства градостроительной деятельности и развития агломераций Нижегородской области от 03.10.2023 № 07-02-03/101
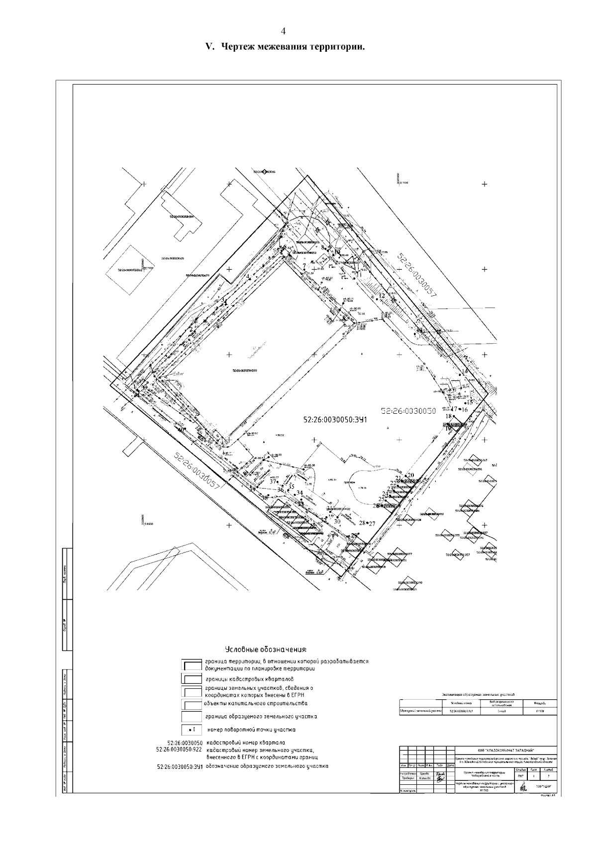
"Об утверждении проекта межевания территории в районе гаражного массива "Левый" по ул.Зеленая в п. Ждановский Кстовского муниципального округа Нижегородской области"
(Зарегистрирован 25.10.2023 № 23854-330-007-02-03/101)
"Об утверждении проекта межевания территории в районе гаражного массива "Левый" по ул.Зеленая в п. Ждановский Кстовского муниципального округа Нижегородской области"
(Зарегистрирован 25.10.2023 № 23854-330-007-02-03/101)
Номер опубликования: 5201202310270003
Дата опубликования:
27.10.2023
