Приказ Министерства градостроительной деятельности и развития агломераций Нижегородской области от 19.06.2023 № 07-02-03/65
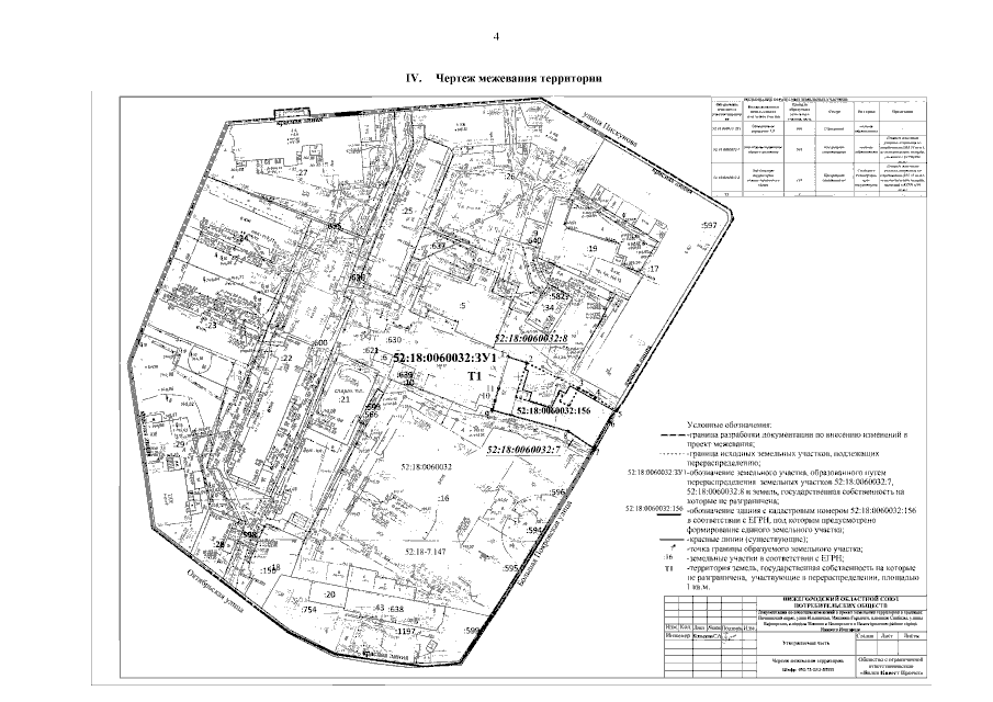
"Об утверждении документации по внесению изменений в проект межевания территории в границах Почаинский овраг, улиц Ильинская, Максима Горького, площади Свободы, улицы Варварская, площади Минина и Пожарского в Нижегородском районе города Нижнего Новгорода"
(Зарегистрирован 17.07.2023 № 23362-330-007-02-03/65)
"Об утверждении документации по внесению изменений в проект межевания территории в границах Почаинский овраг, улиц Ильинская, Максима Горького, площади Свободы, улицы Варварская, площади Минина и Пожарского в Нижегородском районе города Нижнего Новгорода"
(Зарегистрирован 17.07.2023 № 23362-330-007-02-03/65)
Номер опубликования: 5201202307200011
Дата опубликования:
20.07.2023
