Официальное опубликование правовых актов
ОФИЦИАЛЬНОЕ ОПУБЛИКОВАНИЕ
Приказ Министерства градостроительной деятельности и развития агломераций Нижегородской области от 30.04.2021 № 07-02-03/22
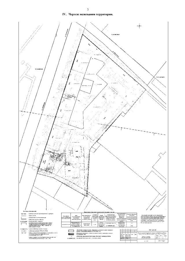
"Об утверждении проекта межевания территории в границах улиц Куйбышева, Шаляпина, Маршала Воронова в Московском районе города Нижнего Новгорода"
(Зарегистрирован 25.05.2021 № 17248-330-007-02-03/22)
Номер опубликования: 5201202105270012
Дата опубликования: 27.05.2021
Страница №5 из 5:
Увеличить