Официальное опубликование правовых актов
ОФИЦИАЛЬНОЕ ОПУБЛИКОВАНИЕ
Постановление Правительства Московской области от 21.12.2023 № 1279-ПП
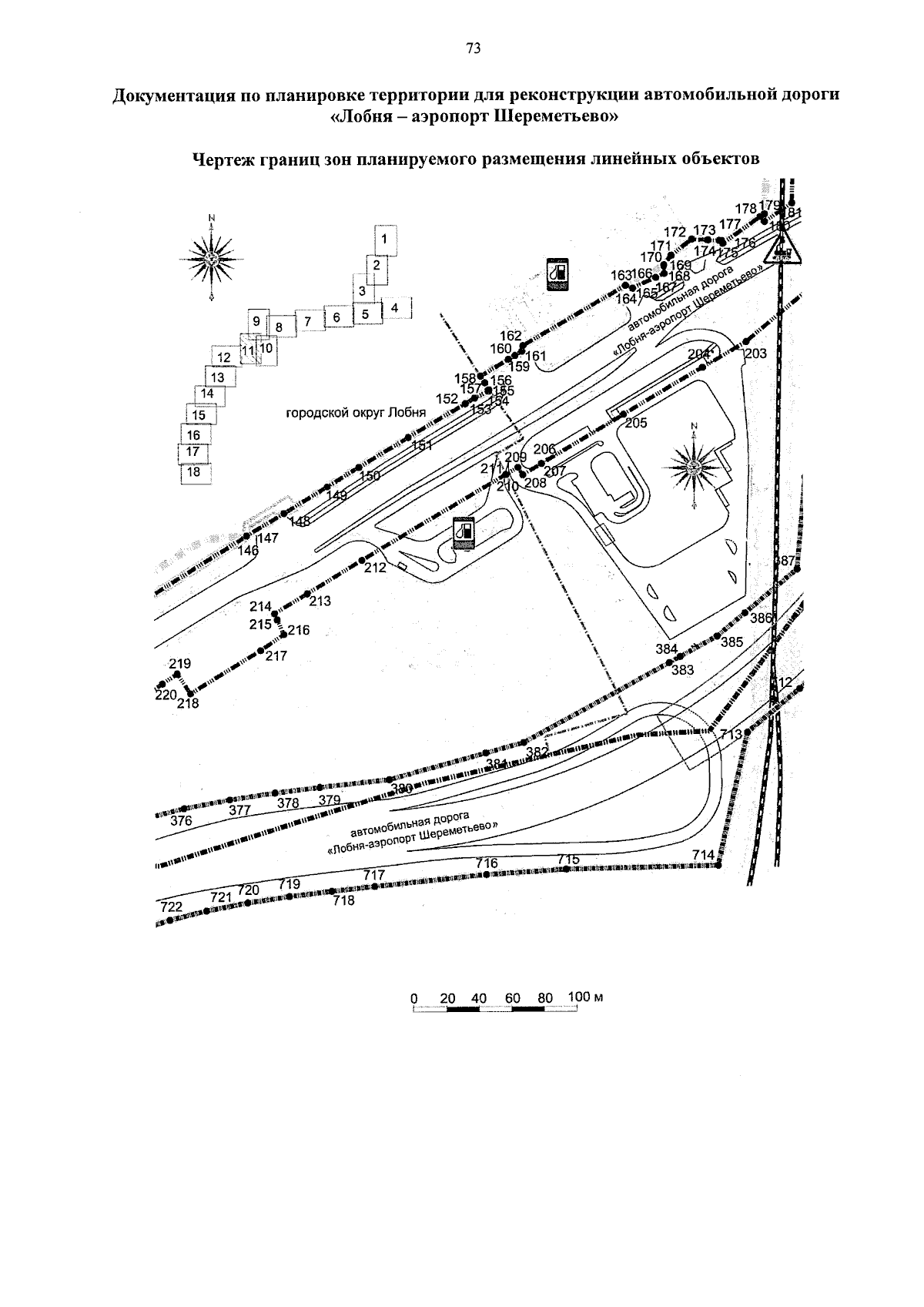
"О внесении изменений в постановление Правительства Московской области от 25.12.2018 № 1011/46 "Об утверждении документации по планировке территории для реконструкции автомобильной дороги "Лобня — аэропорт Шереметьево"
Номер опубликования: 5000202312220010
Дата опубликования: 22.12.2023
Страница №75 из 282:
Увеличить