Постановление Правительства Московской области от 26.10.2021 № 1073/36
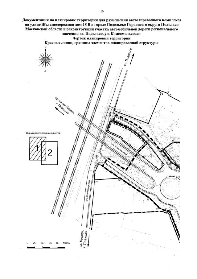
"Об утверждении документации по планировке территории для размещения автозаправочного комплекса на улице Железнодорожная дом 18 В в городе Подольске Городского округа Подольск Московской области и реконструкции участка автомобильной дороги регионального значения "г. Подольск, ул. Комсомольская"
"Об утверждении документации по планировке территории для размещения автозаправочного комплекса на улице Железнодорожная дом 18 В в городе Подольске Городского округа Подольск Московской области и реконструкции участка автомобильной дороги регионального значения "г. Подольск, ул. Комсомольская"
Номер опубликования: 5000202110270006
Дата опубликования:
27.10.2021
