Постановление Правительства Московской области от 24.08.2021 № 724/28
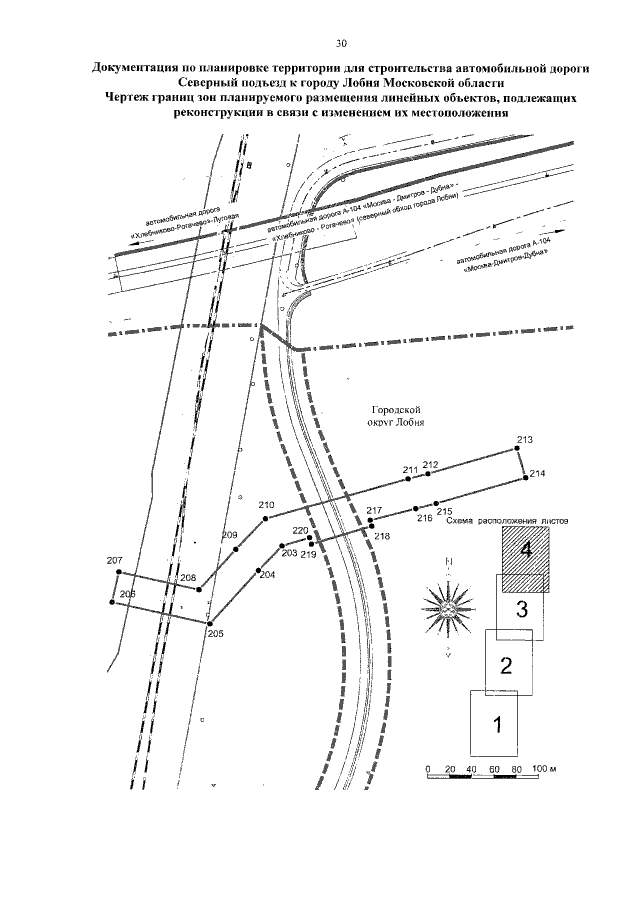
"Об утверждении документации по планировке территории для строительства автомобильной дороги Северный подъезд к городу Лобня Московской области"
"Об утверждении документации по планировке территории для строительства автомобильной дороги Северный подъезд к городу Лобня Московской области"
Номер опубликования: 5000202108260008
Дата опубликования:
26.08.2021
