Постановление Правительства Московской области от 13.05.2021 № 354/14
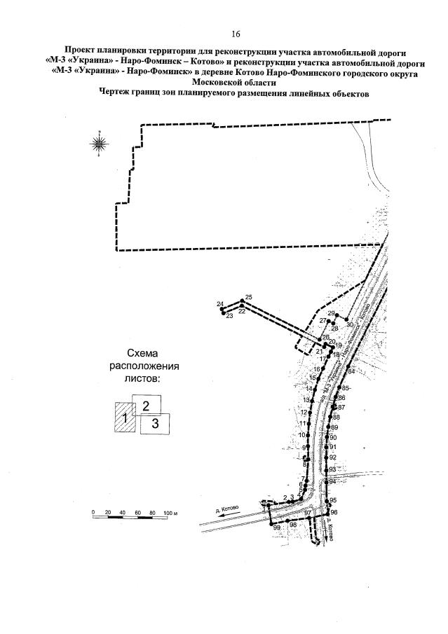
"Об утверждении проекта планировки территории для реконструкции участка автомобильной дороги "М-3 "Украина" – Наро-Фоминск – Котово" и реконструкции участка автомобильной дороги "М-3 "Украина" – Наро-Фоминск" в деревне Котово Наро-Фоминского городского округа Московской области"
"Об утверждении проекта планировки территории для реконструкции участка автомобильной дороги "М-3 "Украина" – Наро-Фоминск – Котово" и реконструкции участка автомобильной дороги "М-3 "Украина" – Наро-Фоминск" в деревне Котово Наро-Фоминского городского округа Московской области"
Номер опубликования: 5000202105130006
Дата опубликования:
13.05.2021
