Официальное опубликование правовых актов
ОФИЦИАЛЬНОЕ ОПУБЛИКОВАНИЕ
Постановление Правительства Московской области от 06.04.2021 № 249/10
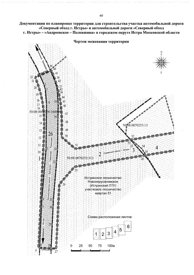
"Об утверждении документации по планировке территории для строительства участка автомобильной дороги "Северный обход г. Истры" и автомобильной дороги "Северный обход г. Истры" – "Андреевское – Полевшина" в городском округе Истра Московской области"
Номер опубликования: 5000202104060002
Дата опубликования: 06.04.2021
Страница №62 из 67:
Увеличить