Официальное опубликование правовых актов
ОФИЦИАЛЬНОЕ ОПУБЛИКОВАНИЕ
Приказ Службы охраны объектов культурного наследия Камчатского края от 18.11.2019 № 68
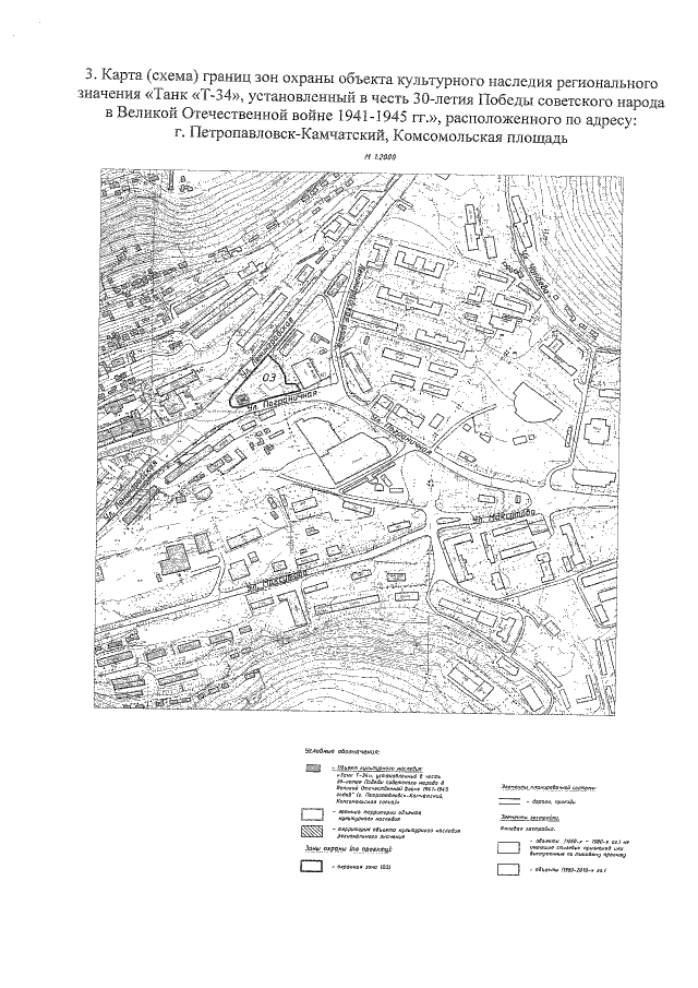
"Об утверждении границ зон охраны объекта культурного наследия регионального значения "Танк "Т-34", установленный в честь 30-летия Победы советского народа в Великой Отечественной войне 1941-1945 гг.", расположенного по адресу: г. Петропавловск-Камчатский, Комсомольская площадь, режимов использования земель и требований к градостроительным регламентам в границах территорий данных зон"
Номер опубликования: 4101201911220001
Дата опубликования: 22.11.2019
Страница №5 из 7:
Увеличить