Официальное опубликование правовых актов
ОФИЦИАЛЬНОЕ ОПУБЛИКОВАНИЕ
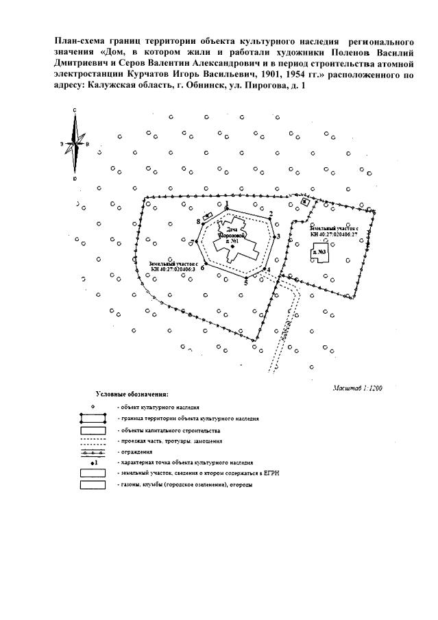
Приказ Управления по охране объектов культурного наследия Калужской области от 18.03.2020 № 65
"Об утверждении границ и режима использования территории объекта культурного наследия регионального значения "Дом, в котором жили и работали художники Поленов Василий Дмитриевич и Серов Валентин Александрович и в период строительства атомной электростанции Курчатов Игорь Васильевич, 1901, 1954 гг." расположенного по адресу: Калужская область, г. Обнинск, ул. Пирогова, д. 1"
(Зарегистрирован 30.03.2020 № 9523)
Номер опубликования: 4001202004030008
Дата опубликования: 03.04.2020
Страница №4 из 6:
Увеличить