Официальное опубликование правовых актов
ОФИЦИАЛЬНОЕ ОПУБЛИКОВАНИЕ
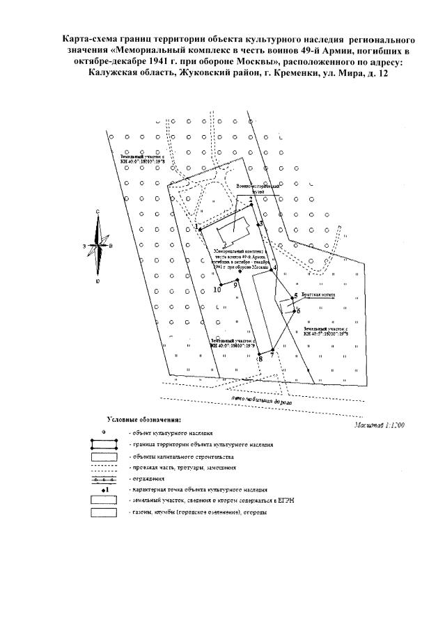
Приказ Управления по охране объектов культурного наследия Калужской области от 30.10.2019 № 360
"Об утверждении границ и режима использования территории объекта культурного наследия регионального значения "Мемориальный комплекс в честь воинов 49-й Армии, погибших в октябре-декабре 1941 г. при обороне Москвы", расположенного по адресу: Калужская область, Жуковский район, г. Кременки, ул. Мира, д. 12"
(Зарегистрирован 22.11.2019 № 9084)
Номер опубликования: 4001201911270002
Дата опубликования: 27.11.2019
Страница №4 из 6:
Увеличить