Официальное опубликование правовых актов
ОФИЦИАЛЬНОЕ ОПУБЛИКОВАНИЕ
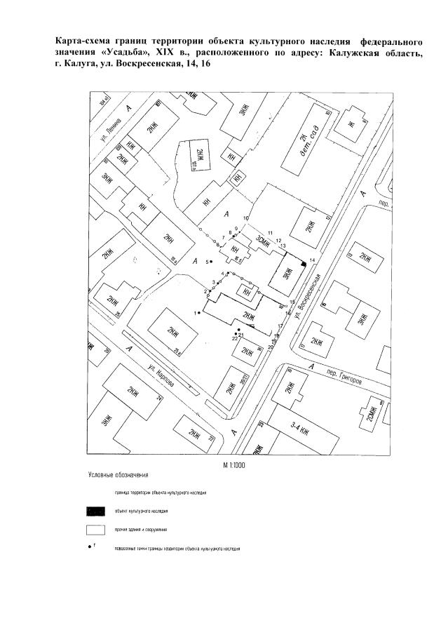
Приказ Управления по охране объектов культурного наследия Калужской области от 01.11.2019 № 368
"Об утверждении границ и режима использования территории объекта культурного наследия федерального значения "Усадьба", XIX в., расположенного по адресу: Калужская область, г. Калуга, ул. Воскресенская, 14, 16"
(Зарегистрирован 19.11.2019 № 9051)
Номер опубликования: 4001201911210005
Дата опубликования: 21.11.2019
Страница №5 из 7:
Увеличить