Официальное опубликование правовых актов
ОФИЦИАЛЬНОЕ ОПУБЛИКОВАНИЕ
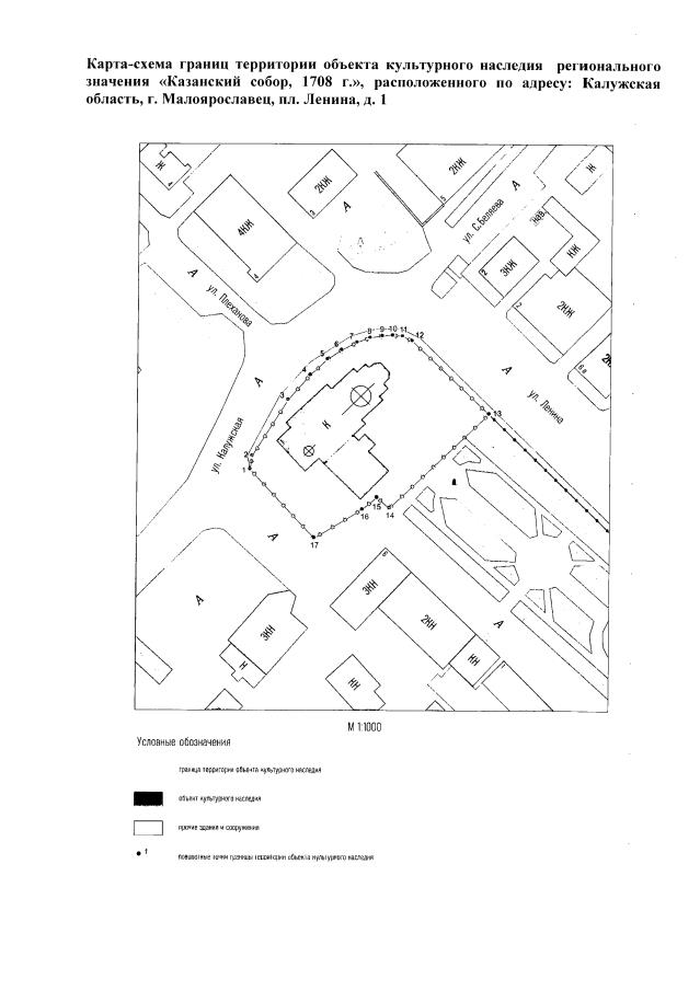
Приказ Управления по охране объектов культурного наследия Калужской области от 01.11.2019 № 366
"Об утверждении границ и режима использования территории объекта культурного наследия регионального значения "Казанский собор, 1708 г.", расположенного по адресу: Калужская область, г. Малоярославец, пл. Ленина, д. 1"
(Зарегистрирован 19.11.2019 № 9049)
Номер опубликования: 4001201911210003
Дата опубликования: 21.11.2019
Страница №4 из 6:
Увеличить