Приказ Управления по охране объектов культурного наследия Калужской области от 10.06.2019 № 160
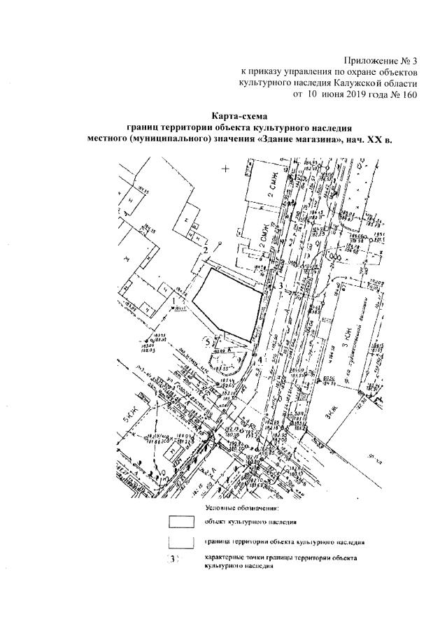
"О включении в единый государственный реестр объектов культурного наследия (памятников истории и культуры) народов Российской Федерации выявленного объекта культурного наследия "Здание магазина", нач. XX в., расположенного по адресу: г. Калуга, ул. Плеханова, д. 74"
(Зарегистрирован 20.06.2019 № 8743)
"О включении в единый государственный реестр объектов культурного наследия (памятников истории и культуры) народов Российской Федерации выявленного объекта культурного наследия "Здание магазина", нач. XX в., расположенного по адресу: г. Калуга, ул. Плеханова, д. 74"
(Зарегистрирован 20.06.2019 № 8743)
Номер опубликования: 4001201906250002
Дата опубликования:
25.06.2019
