Приказ Управления по охране объектов культурного наследия Калужской области от 14.12.2018 № 433
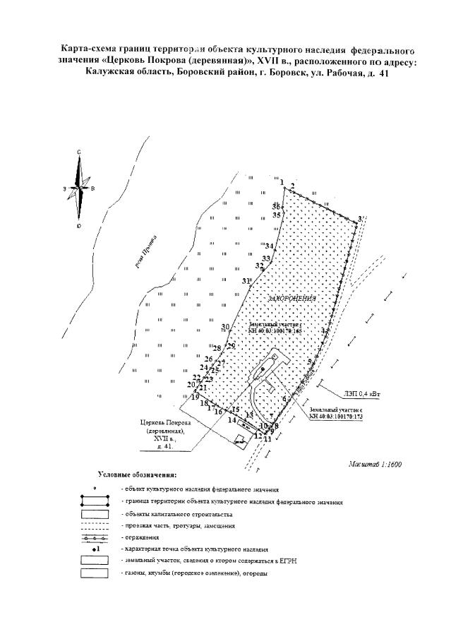
"Об утверждении границ и режима использования территории объекта культурного наследия федерального значения "Церковь Покрова (деревянная)", XVII в., расположенного по адресу: Калужская область, Боровский район, г. Боровск, ул. Рабочая, д. 41"
(Зарегистрирован 25.12.2018 № 8292)
"Об утверждении границ и режима использования территории объекта культурного наследия федерального значения "Церковь Покрова (деревянная)", XVII в., расположенного по адресу: Калужская область, Боровский район, г. Боровск, ул. Рабочая, д. 41"
(Зарегистрирован 25.12.2018 № 8292)
Номер опубликования: 4001201812270013
Дата опубликования:
27.12.2018
